Skip to content

Trees of Vancouver

A visual gallery for "Trees and Shrubs in the Urban Landscape"

  • Home
  • Tree list
  • About

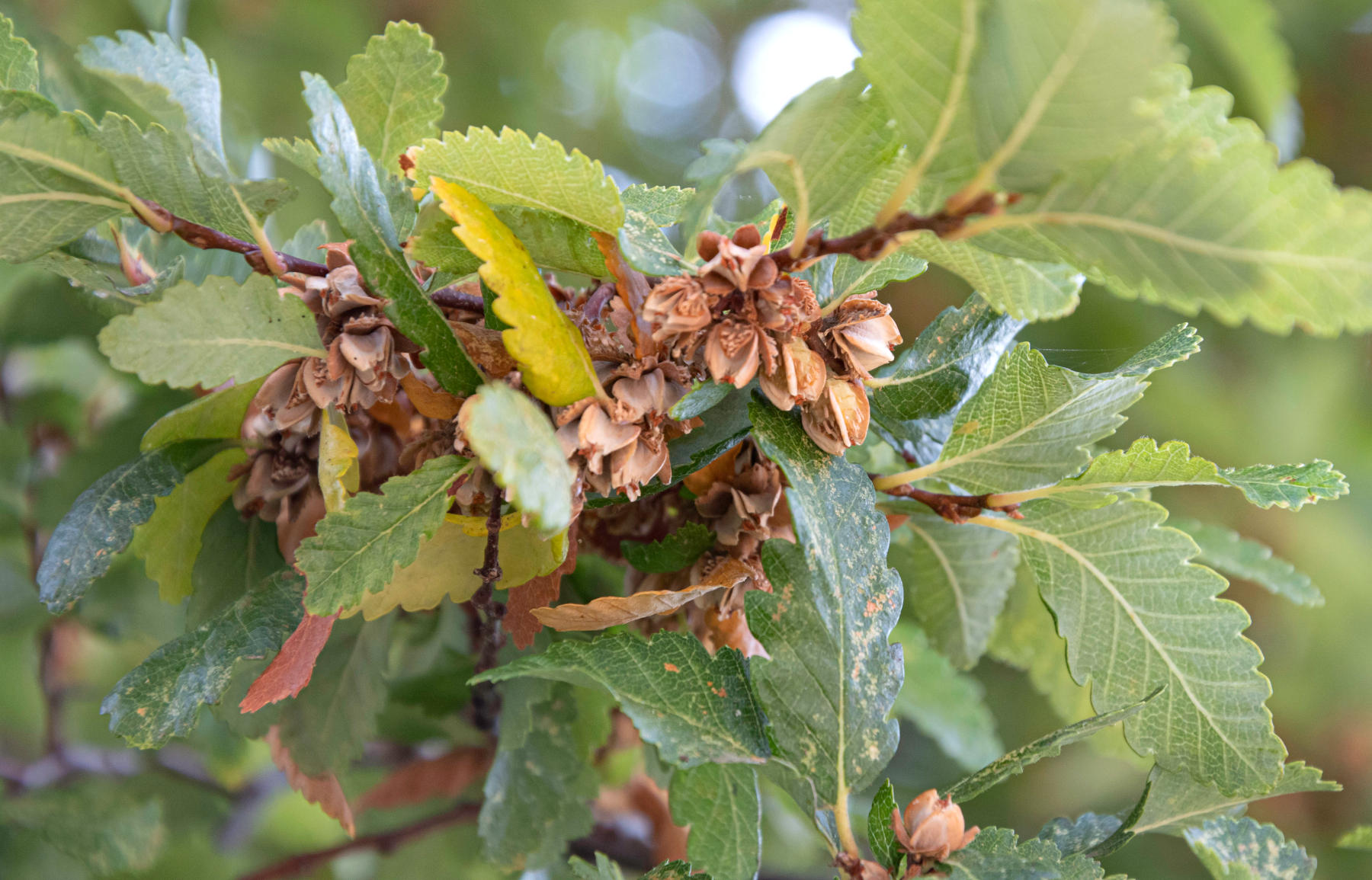
Roble beech

Nothofagus obliqua

Family: Nothofagaceae

Share this:

  • Share on X (Opens in new window) X
  • Share on Facebook (Opens in new window) Facebook
Like Loading...
Blog at WordPress.com.
  • Subscribe Subscribed
    • Trees of Vancouver
    • Already have a WordPress.com account? Log in now.
    • Trees of Vancouver
    • Subscribe Subscribed
    • Sign up
    • Log in
    • Copy shortlink
    • Report this content
    • View post in Reader
    • Manage subscriptions
    • Collapse this bar

Loading Comments...

    %d